HOTĂRÂRE nr. 1.120 din 18 decembrie 2025privind declanşarea procedurilor de expropriere a tuturor imobilelor proprietate privată, aprobarea listei imobilului proprietate publică a statului, precum şi a listei imobilelor proprietate publică a unităţilor administrativ-teritoriale, situate pe amplasamentul suplimentar, necesar pentru relocarea utilităţilor, care fac parte din coridorul de expropriere al lucrării de utilitate publică de interes naţional "Autostrada Sibiu-Făgăraş", tronson 2
Publicat în
MONITORUL OFICIAL nr. 1190 din 23 decembrie 2025Data intrării în vigoare 23-12-2025
Având în vedere dispoziţiile art. 12 alin. (1) din Legea nr. 255/2010 privind exproprierea pentru cauză de utilitate publică, necesară realizării unor obiective de interes naţional, judeţean şi local, cu modificările şi completările ulterioare, şi ale Hotărârii Guvernului nr. 534/2022 pentru reaprobarea indicatorilor tehnico-economici ai obiectivului de investiţii „Autostrada Sibiu-Făgăraş“, judeţele Sibiu şi Braşov,în temeiul art. 108 din Constituţia României, republicată, şi al art. 5 alin. (1) şi (1^1) din Legea nr. 255/2010 privind exproprierea pentru cauză de utilitate publică, necesară realizării unor obiective de interes naţional, judeţean şi local, cu modificările şi completările ulterioare,Guvernul României adoptă prezenta hotărâre.Articolul 1Se aprobă amplasamentul suplimentar al lucrării de utilitate publică de interes naţional „Autostrada Sibiu-Făgăraş“, tronson 2, necesar pentru relocarea utilităţilor, conform variantei finale a studiului de fezabilitate, prevăzut în anexa nr. 1.Articolul 2(1) Se aprobă declanşarea procedurilor de expropriere a tuturor imobilelor proprietate privată, situate pe amplasamentul suplimentar, prevăzut la art. 1, necesar pentru relocarea utilităţilor, care fac parte din coridorul de expropriere al lucrării de utilitate publică de interes naţional „Autostrada Sibiu-Făgăraş“, aflate pe raza teritorială a unităţilor administrativ-teritoriale Avrig, Cârţa şi Porumbacu de Jos din judeţul Sibiu, expropriator fiind statul român, reprezentat de Ministerul Transporturilor şi Infrastructurii, prin Compania Naţională de Administrare a Infrastructurii Rutiere - S.A.(2) Se aprobă lista cuprinzând imobilele proprietate privată supuse exproprierii, potrivit alin. (1), situate pe raza unităţilor administrativ-teritoriale Avrig, Cârţa şi Porumbacu de Jos din judeţul Sibiu, proprietarii sau deţinătorii acestora, aşa cum rezultă din evidenţele unităţilor administrativ-teritoriale, precum şi sumele individuale aferente despăgubirilor, prevăzută în anexa nr. 2.(3) Se aprobă lista cuprinzând imobilul proprietate publică a statului care face parte din coridorul de expropriere, situat pe amplasamentul suplimentar prevăzut la art. 1, conform anexei nr. 3.(4) Se aprobă lista cuprinzând imobilele proprietate publică a unităţilor administrativ-teritoriale care fac parte din coridorul de expropriere, situate pe amplasamentul suplimentar prevăzut la art. 1, conform anexei nr. 4.Articolul 3(1) Sumele individuale estimate de către expropriator aferente despăgubirilor pentru imobilele proprietate privată situate pe amplasamentul suplimentar prevăzut la art. 1, care fac parte din coridorul de expropriere al lucrării de utilitate publică de interes naţional „Autostrada Sibiu-Făgăraş“, tronson 2, aflate pe raza unităţilor administrativ-teritoriale Avrig, Cârţa şi Porumbacu de Jos din judeţul Sibiu, sunt în cuantum de 35,23 mii lei, care se alocă de la bugetul de stat, prin bugetul Ministerului Transporturilor şi Infrastructurii, în conformitate cu Legea bugetului de stat pe anul 2025 nr. 9/2025, cu modificările ulterioare, la capitolul 84.01 „Transporturi“, titlul 56 „Proiecte cu finanţare din fonduri externe nerambursabile (FEN) postaderare“, articolul 56.48 „Programe finanţate din Fondul european de dezvoltare regională (FEDR), aferente cadrului financiar 2021-2027“.(2) Sumele individuale prevăzute la alin. (1) se virează de către Ministerul Transporturilor şi Infrastructurii într-un cont de trezorerie deschis pe numele Companiei Naţionale de Administrare a Infrastructurii Rutiere - S.A., în termen de cel mult 30 de zile de la data aprobării cererii de deschidere de credite, conform prevederilor art. 4 alin. (8) din Normele metodologice de aplicare a Legii nr. 255/2010 privind exproprierea pentru cauză de utilitate publică, necesară realizării unor obiective de interes naţional, judeţean şi local, aprobate prin Hotărârea Guvernului nr. 53/2011, cu completările ulterioare, la dispoziţia proprietarilor/deţinătorilor de imobile proprietate privată care constituie coridorul de expropriere al lucrării de utilitate publică de interes naţional, situate pe amplasamentul suplimentar, necesar pentru relocarea utilităţilor, modificat potrivit art. 1, în vederea efectuării plăţii despăgubirilor în cadrul procedurilor de expropriere, în condiţiile legii. Articolul 4Ministerul Transporturilor şi Infrastructurii, prin Compania Naţională de Administrare a Infrastructurii Rutiere - S.A., răspunde de realitatea datelor înscrise în lista cuprinzând imobilele proprietate privată, situate pe amplasamentul suplimentar prevăzut la art. 1, necesar pentru relocarea utilităţilor, care fac parte din coridorul de expropriere al lucrării de utilitate publică de interes naţional, de corectitudinea datelor înscrise în documentele care au stat la baza stabilirii acestora, precum şi de modul de utilizare, în conformitate cu dispoziţiile legale, a sumei alocate potrivit prevederilor prezentei hotărâri.Articolul 5Planul de amplasament suplimentar al lucrării de utilitate publică de interes naţional, prevăzut la art. 1, se aduce la cunoştinţa publică şi prin afişarea la sediile consiliilor locale implicate şi, respectiv, prin afişare pe pagina proprie de internet a expropriatorului, în condiţiile legii.Articolul 6Anexele nr. 1-4 fac parte integrantă din prezenta hotărâre.
PRIM-MINISTRU
ILIE-GAVRIL BOLOJAN
Contrasemnează:
Viceprim-ministru,
Marian Neacşu
p. Ministrul transporturilor şi infrastructurii,
Ionuţ-Cristian Săvoiu,
secretar de stat
Ministrul finanţelor,
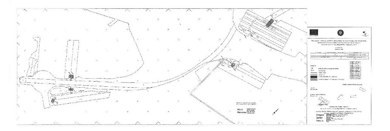
Alexandru NazareBucureşti, 18 decembrie 2025.Nr. 1.120.Anexa nr. 1*)*) Anexa nr. 1 este reprodusă în facsimil.PLAN DE AMPLASAMENT![]()
![]()
![]()
![]()
![]()
![]()
![]()
![]()
![]()
Anexa nr. 2LISTAcuprinzând imobilele proprietate privată situate pe amplasamentul suplimentar, necesar relocării de utilităţi, care fac parte din coridorul de expropriere al lucrării de utilitate publică de interes naţional „Autostrada Sibiu-Făgăraş“, tronsonul 2, aflate pe raza localităţilor Avrig, Cârţa şi Porumbacu de Jos din judeţul Sibiu,proprietarii sau deţinătorii acestora, precum şi sumele aferente justelor despăgubiri
*) Pentru toate poziţiile în care la coloana „Numele şi prenumele proprietarului/deţinătorului imobilului“ se regăseşte menţiunea „Proprietar neidentificat“, astfel cum reiese din evidenţele unităţilor administrativ-teritoriale, numele proprietarilor/deţinătorilor vor fi identificate ulterior, în vederea completării documentaţiilor necesare pentru punerea în aplicare a măsurilor de expropriere în condiţiile legii.**) Pentru poziţiile nr. crt. 5, 29, 42, 44 şi 50, unde titularul dreptului de proprietate este unitatea administrativ-teritorială, terenurile în cauză sunt la dispoziţia comisiilor de fond funciar, astfel cum reiese din evidenţele unităţilor administrativ-teritoriale.Anexa nr. 3LISTAcuprinzând imobilul proprietate publică a statului situat pe amplasamentul suplimentar, necesar relocării de utilităţi, care faceparte din coridorul de expropriere al lucrării de utilitate publică deinteres naţional „Autostrada Sibiu-Făgăraş“, tronsonul 2
Anexa nr. 4LISTAcuprinzând imobilele proprietate publică a unităţilor administrativ-teritoriale situate pe amplasamentul suplimentar, necesar relocării de utilităţi, care fac parte din coridorul de expropriere al lucrării de utilitate publică de interes naţional „Autostrada Sibiu-Făgăraş’’, tronsonul 2
-------

| EMITENT |
Având în vedere dispoziţiile art. 12 alin. (1) din Legea nr. 255/2010 privind exproprierea pentru cauză de utilitate publică, necesară realizării unor obiective de interes naţional, judeţean şi local, cu modificările şi completările ulterioare, şi ale Hotărârii Guvernului nr. 534/2022 pentru reaprobarea indicatorilor tehnico-economici ai obiectivului de investiţii „Autostrada Sibiu-Făgăraş“, judeţele Sibiu şi Braşov,în temeiul art. 108 din Constituţia României, republicată, şi al art. 5 alin. (1) şi (1^1) din Legea nr. 255/2010 privind exproprierea pentru cauză de utilitate publică, necesară realizării unor obiective de interes naţional, judeţean şi local, cu modificările şi completările ulterioare,Guvernul României adoptă prezenta hotărâre.Articolul 1Se aprobă amplasamentul suplimentar al lucrării de utilitate publică de interes naţional „Autostrada Sibiu-Făgăraş“, tronson 2, necesar pentru relocarea utilităţilor, conform variantei finale a studiului de fezabilitate, prevăzut în anexa nr. 1.Articolul 2(1) Se aprobă declanşarea procedurilor de expropriere a tuturor imobilelor proprietate privată, situate pe amplasamentul suplimentar, prevăzut la art. 1, necesar pentru relocarea utilităţilor, care fac parte din coridorul de expropriere al lucrării de utilitate publică de interes naţional „Autostrada Sibiu-Făgăraş“, aflate pe raza teritorială a unităţilor administrativ-teritoriale Avrig, Cârţa şi Porumbacu de Jos din judeţul Sibiu, expropriator fiind statul român, reprezentat de Ministerul Transporturilor şi Infrastructurii, prin Compania Naţională de Administrare a Infrastructurii Rutiere - S.A.(2) Se aprobă lista cuprinzând imobilele proprietate privată supuse exproprierii, potrivit alin. (1), situate pe raza unităţilor administrativ-teritoriale Avrig, Cârţa şi Porumbacu de Jos din judeţul Sibiu, proprietarii sau deţinătorii acestora, aşa cum rezultă din evidenţele unităţilor administrativ-teritoriale, precum şi sumele individuale aferente despăgubirilor, prevăzută în anexa nr. 2.(3) Se aprobă lista cuprinzând imobilul proprietate publică a statului care face parte din coridorul de expropriere, situat pe amplasamentul suplimentar prevăzut la art. 1, conform anexei nr. 3.(4) Se aprobă lista cuprinzând imobilele proprietate publică a unităţilor administrativ-teritoriale care fac parte din coridorul de expropriere, situate pe amplasamentul suplimentar prevăzut la art. 1, conform anexei nr. 4.Articolul 3(1) Sumele individuale estimate de către expropriator aferente despăgubirilor pentru imobilele proprietate privată situate pe amplasamentul suplimentar prevăzut la art. 1, care fac parte din coridorul de expropriere al lucrării de utilitate publică de interes naţional „Autostrada Sibiu-Făgăraş“, tronson 2, aflate pe raza unităţilor administrativ-teritoriale Avrig, Cârţa şi Porumbacu de Jos din judeţul Sibiu, sunt în cuantum de 35,23 mii lei, care se alocă de la bugetul de stat, prin bugetul Ministerului Transporturilor şi Infrastructurii, în conformitate cu Legea bugetului de stat pe anul 2025 nr. 9/2025, cu modificările ulterioare, la capitolul 84.01 „Transporturi“, titlul 56 „Proiecte cu finanţare din fonduri externe nerambursabile (FEN) postaderare“, articolul 56.48 „Programe finanţate din Fondul european de dezvoltare regională (FEDR), aferente cadrului financiar 2021-2027“.(2) Sumele individuale prevăzute la alin. (1) se virează de către Ministerul Transporturilor şi Infrastructurii într-un cont de trezorerie deschis pe numele Companiei Naţionale de Administrare a Infrastructurii Rutiere - S.A., în termen de cel mult 30 de zile de la data aprobării cererii de deschidere de credite, conform prevederilor art. 4 alin. (8) din Normele metodologice de aplicare a Legii nr. 255/2010 privind exproprierea pentru cauză de utilitate publică, necesară realizării unor obiective de interes naţional, judeţean şi local, aprobate prin Hotărârea Guvernului nr. 53/2011, cu completările ulterioare, la dispoziţia proprietarilor/deţinătorilor de imobile proprietate privată care constituie coridorul de expropriere al lucrării de utilitate publică de interes naţional, situate pe amplasamentul suplimentar, necesar pentru relocarea utilităţilor, modificat potrivit art. 1, în vederea efectuării plăţii despăgubirilor în cadrul procedurilor de expropriere, în condiţiile legii. Articolul 4Ministerul Transporturilor şi Infrastructurii, prin Compania Naţională de Administrare a Infrastructurii Rutiere - S.A., răspunde de realitatea datelor înscrise în lista cuprinzând imobilele proprietate privată, situate pe amplasamentul suplimentar prevăzut la art. 1, necesar pentru relocarea utilităţilor, care fac parte din coridorul de expropriere al lucrării de utilitate publică de interes naţional, de corectitudinea datelor înscrise în documentele care au stat la baza stabilirii acestora, precum şi de modul de utilizare, în conformitate cu dispoziţiile legale, a sumei alocate potrivit prevederilor prezentei hotărâri.Articolul 5Planul de amplasament suplimentar al lucrării de utilitate publică de interes naţional, prevăzut la art. 1, se aduce la cunoştinţa publică şi prin afişarea la sediile consiliilor locale implicate şi, respectiv, prin afişare pe pagina proprie de internet a expropriatorului, în condiţiile legii.Articolul 6Anexele nr. 1-4 fac parte integrantă din prezenta hotărâre.
PRIM-MINISTRU
ILIE-GAVRIL BOLOJAN
Contrasemnează:
Viceprim-ministru,
Marian Neacşu
p. Ministrul transporturilor şi infrastructurii,
Ionuţ-Cristian Săvoiu,
secretar de stat
Ministrul finanţelor,
Alexandru NazareBucureşti, 18 decembrie 2025.Nr. 1.120.Anexa nr. 1*)*) Anexa nr. 1 este reprodusă în facsimil.PLAN DE AMPLASAMENT









| Nr. crt. | Judeţul | Unitatea administrativ-teritorială | Numele şi prenumele proprietarului/ deţinătorului imobilului | Tarla | Parcelă | Număr cadastral/Nr. topo | Număr carte funciară | Categoria de folosinţă | Extravilan/Intravilan | Suprafaţa totală a terenului (mp) | Suprafaţa de expropriat a terenului (mp) | Valoarea de despăgubire a imobilului conform Legii nr. 255/2010 (lei) |
| 0 | 1 | 2 | 3 | 4 | 5 | 6 | 7 | 8 | 9 | 10 | 11 | 12 |
| 1 | Sibiu | Avrig | Gîrbea Ana | 135 | 2734/5 | 113196 | 113196 | Arabil | Extravilan | 2.800,00 | 45 | 380,25 |
| 2 | Sibiu | Avrig | Macovei Andrei-Nicolae | 135 | 2734/6 | 113195 | 113195 | Arabil | Extravilan | 2.500,00 | 110 | 929,50 |
| 3 | Sibiu | Avrig | Roman Ilie | 157 | 3392/1/1/2 | - | - | Arabil | Extravilan | 3.000,00 | 32 | 270,40 |
| 4 | Sibiu | Avrig | Grancea Mihăilă | 157 | 3392/1/1/3 | - | - | Arabil | Extravilan | 4.000,00 | 77 | 650,65 |
| 5 | Sibiu | Avrig | U.A.T. Oraşul Avrig**) | 157 | 3395/10 | - | - | Arabil | Extravilan | 4.946,00 | 95 | 802,75 |
| 6 | Sibiu | Avrig | Meres Vasile-Emil, Meres Gabriela | 157 | 3362/46 | - | - | Fâneaţă | Extravilan | 1.980,00 | 25 | 104,00 |
| 7 | Sibiu | Avrig | Meres Vasile-Emil, Meres Gabriela | 156 | 3362/47 | - | - | Fâneaţă | Extravilan | 15.303,00 | 87 | 361,92 |
| 8 | Sibiu | Avrig | Coţofană Ioan, Severin Vasile, Gafton Elena, Marcu Ioana, Spineu Maria, Coţofană Ioana | 157 | 3364/31 | - | - | Arabil | Extravilan | 1.700,00 | 118 | 997,10 |
| 9 | Sibiu | Avrig | Coţofană Ioan, Severin Vasile, Gafton Elena, Marcu Ioana, Spineu Maria, Coţofană Ioana | 157 | 3364/30 | - | - | Arabil | Extravilan | 700,00 | 47 | 397,15 |
| 10 | Sibiu | Avrig | Coţofană Ioan, Severin Vasile, Gafton Elena, Marcu Ioana, Spineu Maria, Coţofană Ioana | 157 | 3364/29 | - | - | Arabil | Extravilan | 1.700,00 | 73 | 616,85 |
| 11 | Sibiu | Avrig | Coţofană Maria, Coţofană Dumitru,Paraschiv Ioana, Popuşoi-Stanciu Mihaela | 157 | 3364/16 | - | - | Arabil | Extravilan | 2.257,00 | 9 | 76,05 |
| 12 | Sibiu | Avrig | Tatu Eudochia | 157 | 3364/15 | - | - | Arabil | Extravilan | 1.595,00 | 80 | 676,00 |
| 13 | Sibiu | Avrig | Coţofană Nicolae | 157 | 3364/14 | - | - | Arabil | Extravilan | 3.994,00 | 1 | 8,45 |
| 14 | Sibiu | Avrig | Proprietar neidentificat*) | 155 | 3254 | - | - | Fâneaţă | Extravilan | 1.518,00 | 28 | 116,48 |
| 15 | Sibiu | Avrig | U.A.T. Oraşul Avrig - domeniu privat | 151 | 3222/1 | 100231 | 100231 | Păşune | Extravilan | 652.000,00 | 2.889 | 10.816,42 |
| 16 | Sibiu | Avrig | Racotă Gheorghe, Tulban Ioana, Postea Elena, Oprenea Ana | 144 | 2979/1/1/1/10 | 112479 | 112479 | Arabil | Extravilan | 1.800,00 | 9 | 76,05 |
| 17 | Sibiu | Avrig | Ilişie Ioana | 144 | 2979/1/1/1/11 | 112480 | 112480 | Arabil | Extravilan | 5.800,00 | 100 | 845,00 |
| 18 | Sibiu | Avrig | Coţofană Ilie | 144 | 2979/1/1/2/5 | - | - | Arabil | Extravilan | 4.100,00 | 2 | 16,90 |
| 19 | Sibiu | Avrig | Hadăr Cristian Octavian | 144 | 2979/1/1/2/6 | - | - | Arabil | Extravilan | 2.700,00 | 24 | 202,80 |
| 20 | Sibiu | Avrig | Hadăr Cristian Octavian | 144 | 2979/1/1/2/7 | - | - | Arabil | Extravilan | 4.800,00 | 53 | 447,85 |
| 21 | Sibiu | Avrig | Căbuz Ioan | 144 | 2979/1/1/165 | - | - | Arabil | Extravilan | 4.400,00 | 30 | 253,50 |
| 22 | Sibiu | Avrig | Bădilă Ioan | 144 | 2999/3 | 112728 | 112728 | Arabil | Extravilan | 5.200,00 | 101 | 853,45 |
| 23 | Sibiu | Avrig | Urzică Maria | 144 | 2999/4 | 112727 | 112727 | Arabil | Extravilan | 2.400,00 | 8 | 67,60 |
| 24 | Sibiu | Avrig | Popenţiu Ioan | 146 | 3030/22/2 | - | - | Arabil | Extravilan | 1.900,00 | 43 | 363,35 |
| 25 | Sibiu | Avrig | Bădila Elena, Cotofană Maria, Lăzăroaie Gheorghe | 146 | 3030/22/1 | - | - | Arabil | Extravilan | 2.000,00 | 47 | 397,15 |
| 26 | Sibiu | Cârţa | Stăniciu Livia, Isaicu Maria, Stăniciu Ioan, Stăniciu Livia, Stăniciu-Bratu Toma, Logigan Ana, Maniţiu Emilia | 56 | 1261/153/1 | 108479 | 108479 | Arabil | Extravilan | 1.500 | 3 | 17,55 |
| 27 | Sibiu | Cârţa | Stanciu Maria, Mihu Stelian, Miihu Iancu | 56 | 1261/154 | 108480 | 108480 | Arabil | Extravilan | 3.300,00 | 22 | 128,70 |
| 28 | Sibiu | Cârţa | Maniţiu Maria | 56 | 1261/155 | 108481 | 108481 | Arabil | Extravilan | 7.000,00 | 75 | 438,75 |
| 29 | Sibiu | Cârţa | U.A.T. Comuna Cârţa**) | 56 | 1261/156 | 108482 | 108482 | Arabil | Extravilan | 1.500,00 | 38 | 222,30 |
| 30 | Sibiu | Cârţa | Oniţiu Fabian | 56 | 1261/157 | 108483 | 108483 | Arabil | Extravilan | 1.500,00 | 43 | 251,55 |
| 31 | Sibiu | Cârţa | Colceriu Nicolae | 56 | 1261/158 | 108484 | 108484 | Arabil | Extravilan | 4.200,00 | 125 | 731,25 |
| 32 | Sibiu | Cârţa | Czika Maria | 56 | 1261/159 | 108485 | 108485 | Arabil | Extravilan | 800,00 | 25 | 146,25 |
| 33 | Sibiu | Cârţa | Pascu Marian-Iosif | 56 | 1261/160 | 108486 | 108486 | Arabil | Extravilan | 1.400,00 | 38 | 222,30 |
| 34 | Sibiu | Cârţa | Morariu Ioan | 56 | 1261/161 | 108487 | 108487 | Arabil | Extravilan | 6.800,00 | 253 | 1.480,05 |
| 35 | Sibiu | Cârţa | Sobis Solutions - S.R.L. | 56 | 1261/162 | 108488 | 108488 | Arabil | Extravilan | 1.300,00 | 58 | 339,30 |
| 36 | Sibiu | Cârţa | Stăniciu Livia, Isaicu Maria, Stăniciu Ioan, Stăniciu Livia, Stăniciu-Bratu Toma, Logigan Ana, Maniţiu Emilia | 56 | 1261/163 | 108489 | 108489 | Arabil | Extravilan | 3.000,00 | 155 | 906,75 |
| 37 | Sibiu | Cârţa | Floca Constantin | 56 | 1261/164 | 108490 | 108490 | Arabil | Extravilan | 2.300,00 | 140 | 819,00 |
| 38 | Sibiu | Cârţa | Sobis Solutions - S.R.L. | 56 | 1261/165 | 108491 | 108491 | Arabil | Extravilan | 2.300,00 | 144 | 842,40 |
| 39 | Sibiu | Cârţa | Rent Car Rosenau - S.R.L. | 56 | 1261/166 | 108492 | 108492 | Arabil | Extravilan | 6.700,00 | 140 | 1.092,00 |
| 40 | Sibiu | Cârţa | Bardaş Gheorghe, Bardaş Maria | 51 | 1174/2 | 108655 | 108655 | Arabil | Extravilan | 1.852,00 | 43 | 335,40 |
| 41 | Sibiu | Porumbacu de Jos | Bărdaş Viorel, Coţofană Lucica | 54 | 1355/23 | - | - | Arabil | Extravilan | 5.670,00 | 404 | 1.628,12 |
| 42 | Sibiu | Porumbacu de Jos | U.A.T. Comuna Porumbacu de Jos**) | 54 | 1355/59 | - | - | Arabil | Extravilan | 220,00 | 210 | 846,30 |
| 43 | Sibiu | Porumbacu de Jos | Frâncu Maria | 54 | 1355/2 | 114422 | 114422 | Arabil | Extravilan | 6.025,00 | 167 | 673,01 |
| 44 | Sibiu | Porumbacu de Jos | U.A.T. Comuna Porumbacu de Jos**) | 55 | 1394 | - | - | Păşune | Extravilan | 7.479,00 | 2 | 4,42 |
| 45 | Sibiu | Porumbacu de Jos | Boboc Victoria | 55 | 1400/301 | - | - | Arabil | Extravilan | 2.529,00 | 390 | 1.571,70 |
| 46 | Sibiu | Porumbacu de Jos | Chirteş Silviu-Nicolae | 58 | 1573/200/1 | - | - | Arabil | Extravilan | 3.260,00 | 228 | 918,84 |
| 47 | Sibiu | Porumbacu de Jos | Neamţu Livia | 100 | 2799/77 | - | - | Fâneaţă | Extravilan | 1.900,00 | 28 | 61,88 |
| 48 | Sibiu | Porumbacu de Jos | Calin Ilie | 100 | 2799/31 | - | - | Fâneaţă | Extravilan | 2.100,00 | 1 | 2,21 |
| 49 | Sibiu | Porumbacu de Jos | Cociş Maria | 100 | 2799/50/1/2 | - | - | Fâneaţă | Extravilan | 9.400,00 | 3 | 6,63 |
| 50 | Sibiu | Porumbacu de Jos | U.A.T. Comuna Porumbacu de Jos**) | 126 | 3699/37 | - | - | Arabil | Extravilan | 2.750,00 | 6 | 48,36 |
| 51 | Sibiu | Porumbacu de Jos | Marcu Aurel, Marcu Andrei, Streza Elena, Cocoş Paraschiva | 137 | 3967/1/27/8 | 111545 | 111545 | Arabil | Extravilan | 2.100,00 | 23 | 92,69 |
| 52 | Sibiu | Porumbacu de Jos | Pampu Constantin, Radu Silvia | 137 | 3967/1/27/9 | 111546 | 111546 | Arabil | Extravilan | 2.100,00 | 86 | 346,58 |
| 53 | Sibiu | Porumbacu de Jos | Orzea Elena | 137 | 3967/1/27/20 | 111558 | 111558 | Arabil | Extravilan | 2.000,00 | 81 | 326,43 |
| TOTAL | 7.064 | 35.228,34 | ||||||||||
| Nr.crt. | Judeţul | U.A.T. | Denumirea proprietarului/deţinătorului dreptului de administrare | Număr MF | Tarla | Parcelă | Nr. cadastral/topo | Nr. carte funciară | Categorie de folosinţă | Intravilan/Extravilan | Suprafaţatotală a terenului (mp) | Suprafaţa supusă transferului (mp) |
| 0 | 1 | 2 | 3 | 4 | 5 | 6 | 7 | 8 | 9 | 10 | 11 | 12 |
| 1 | Sibiu | Porumbacu de Jos | Statul român - în administrarea Agenţiei Naţionale de Îmbunătăţiri Funciare | 60588 parţial | 126 | 3705 | - | - | Curţi-construcţii | Extravilan | 2.361,00 | 7,00 |
| TOTAL (mp) | 7,00 | |||||||||||
| Nr. crt. | Judeţul | U.A.T. | Denumirea proprietarului/deţinătorului dreptului de administrare | Tarla | Parcelă | Nr. cadastral/topo | Nr. carte funciară | Categorie de folosinţă | Intravilan/Extravilan | Suprafaţa totală a terenului (mp) | Suprafaţa supusă transferului (mp) |
| 0 | 1 | 2 | 3 | 4 | 5 | 6 | 7 | 8 | 9 | 10 | 11 |
| 1 | Sibiu | Avrig | U.A.T. Avrig | 157 | - | - | - | Curţi-construcţii | Extravilan | 19 | 19 |
| 2 | Sibiu | Avrig | U.A.T. Avrig | 157 | - | - | - | Curţi-construcţii | Extravilan | 2 | 2 |
| 3 | Sibiu | Avrig | U.A.T. Avrig | - | - | 110503 | 110503 | Drum | Extravilan | 21.998 | 19 |
| 4 | Sibiu | Cârţa | Judeţul Sibiu | - | - | 104655 | 104655 | Drum | Extravilan | 28.063 | 295 |
| 5 | Sibiu | Cârţa | Judeţul Sibiu | - | - | 104655 | 104655 | Drum | Extravilan | 28.063 | 577 |
| 6 | Sibiu | Porumbacu de Jos | U.A.T. Porumbacu de Jos | 100 | 2735 | - | - | Curţi-construcţii | Extravilan | 2.010 | 5 |
| TOTAL | 917 | ||||||||||

Prezenta formă este valabilă începând cu data de 23-12-2025 până la data de 23-12-2025
























